Viewing Listing MLS# 2605170
Myrtle Beach, SC 29577
- LIZoning
- IndustrialType
- 1# Lots
- PublicWater
- HorryCounty
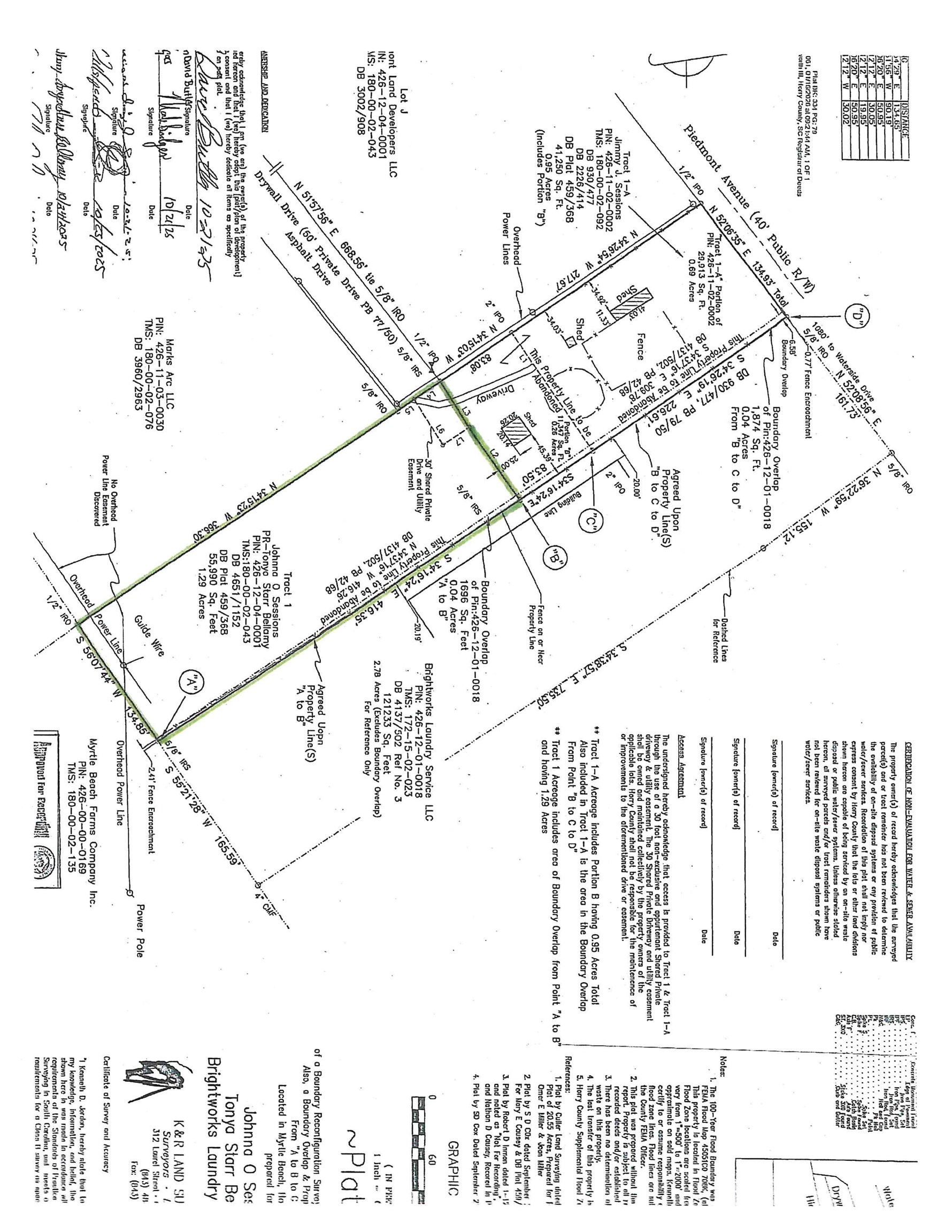
- 1.29Acres
- MLS# 2605170
- Land
- Industrial
- Active
- Approx Time on Market2 months, 17 days
- AreaMyrtle Beach Area-- South of 501 Between Burcale & Waterway
- CountyHorry
- Subdivision Not within a Subdivision
Overview
Very rare Light Industrial Lot located across from the Myrtle Beach International Airport and near US Highway 501. Property is zoned LI affording many commercial and industrial uses. Uses include light manufacturing, wholesale distribution, mini warehouse, boat service, repair service, bulk landscape supply, and many more. All uses must be verified by Horry County. Wetlands report shows no wetlands on the property.
Agriculture / Farm
Horse: No
Association Fees / Info
Hoa Frequency: Monthly
Hoa: No
Bathroom Info
Building Info
New Construction: No
Zoning: LI
Buyer Compensation
Exterior Features
Spa: No
Financial
Number of Lots: 1
Garage / Parking
Garage: No
Carport: No
Open Parking: No
Attached Garage: No
Interior Features
Fireplace: No
Lot Info
Acres: 1.29
Land Lease: No
Lot Description: OutsideCityLimits, Rectangular, RectangularLot
Misc
Pool Private: No
Offer Compensation
Other School Info
Property Info
County: Horry
Road Frontage Type: CountyRoad
View: No
Road Surface Type: Asphalt
Senior Community: No
Stipulation of Sale: None
Property Sub Type Additional: Industrial,UnimprovedLand
Property Attached: No
Rent Control: No
Room Info
Sold Info
Tax Info
Utilities / Hvac
Electric On Property: No
Cooling: No
Sewer: PublicSewer
Utilities Available: ElectricityAvailable, PhoneAvailable, SewerAvailable, WaterAvailable
Heating: No
Water Source: Public
Waterfront / Water
Waterfront: No
Directions
From M.B take US 17 Bypass about .5 of a mile past Highway 501. Turn right on Industrial Drive. Take the first right on Drywall Drive. The property is at the end of Drywall DriveCourtesy of Re/max Southern Shores - Cell: 843-267-3585





Recent Posts RSS
Provided courtesy of © Copyright 2026 Coastal Carolinas Multiple Listing Service, Inc.®. Information Deemed Reliable but Not Guaranteed. © Copyright 2026 Coastal Carolinas Multiple Listing Service, Inc.® MLS. All rights reserved. Information is provided exclusively for consumers’ personal, non-commercial use, that it may not be used for any purpose other than to identify prospective properties consumers may be interested in purchasing.
Images related to data from the MLS is the sole property of the MLS and not the responsibility of the owner of this website. MLS IDX data last updated on 05-15-2026 11:17 AM EST.
Any images related to data from the MLS is the sole property of the MLS and not the responsibility of the owner of this website.