Viewing Listing MLS# 2600315
Loris, SC 29569
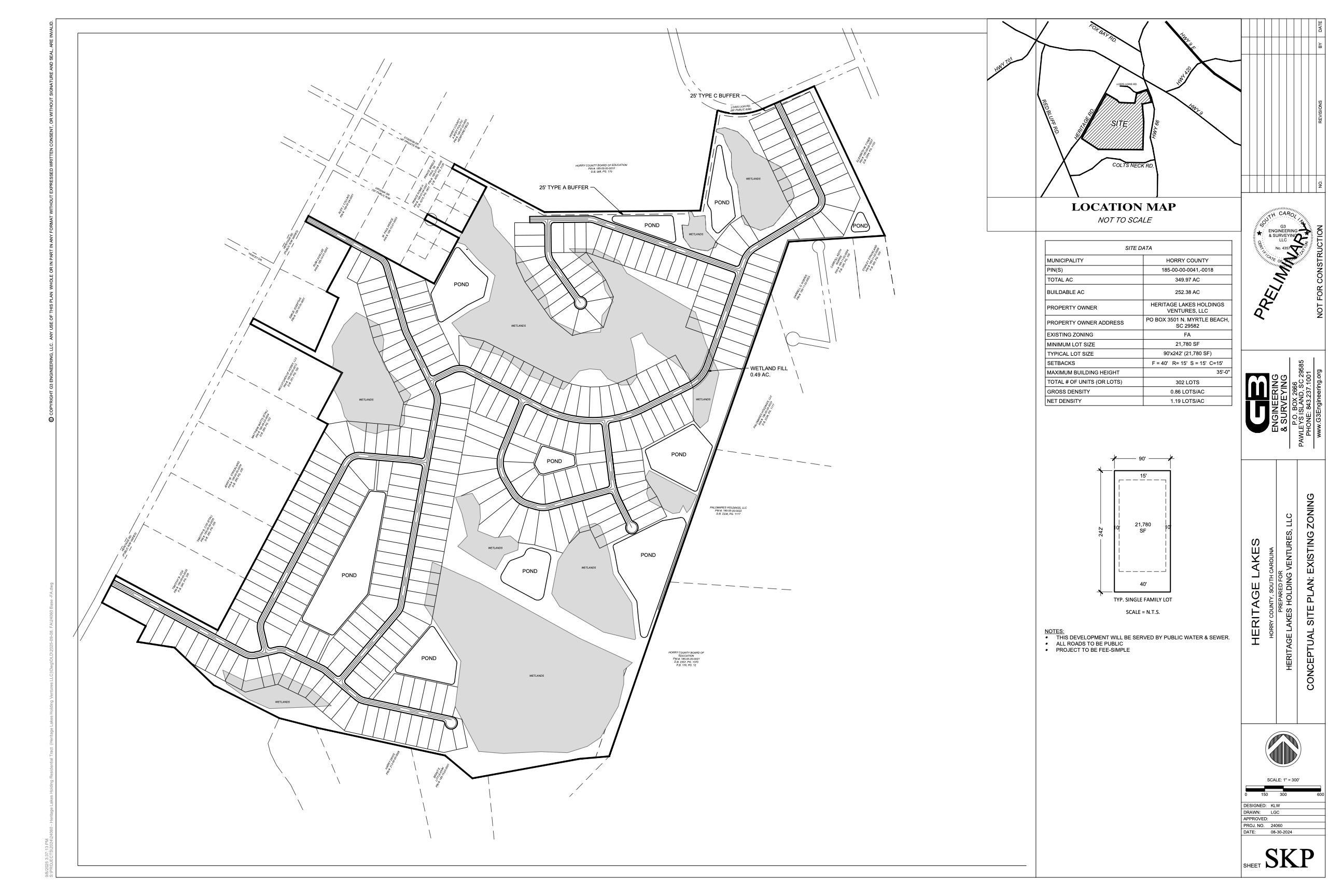
- FAZoning
- AcreageType
- N/A# Lots
- N/AWater
- HorryCounty
- 349.97Acres
- MLS# 2600315
- Land
- Acreage
- Active
- Approx Time on Market4 months, 21 days
- AreaLoris Area--Central Includes City of Loris
- CountyHorry
- Subdivision Not within a Subdivision
Overview
Excellent large-tract residential development opportunity or estate/recreational land for sale in Horry County. 350 Acres of undeveloped land for sale off Heritage Road in Loris, South Carolina. Property is located adjacent to Loris High School and Loris Middle School between SC-66, Loris Lions Road and Heritage Road. Current Horry County zoning is Forest Agriculture (FA) allowing for the following uses: agriculture, forestry, low-density residential (minimum 1/2 acre lots), limited commercial, social, cultural, recreational, and religious. Owner possesses a conceptual development plan illustrating 302 single-family residential detached lots that is compliant with the current Horry County FA zoning development regulations. Owner recently secured Wetland Delineation Concurrence Letters from the U.S. Army Corps of Engineers for the entire property. The Delineation Concurrence Letters and Mapping illustrate that the property contains approximately 249 Upland Acres. Grand Strand Water & Sewer Authority have water and sewer lines located in close proximity to the Property. The Property contains multiple access points from Heritage Road and Loris Lions Road. Owner can provide the following Property documents: Boundary Survey, ALTA Survey, Conceptual Site Plans, Geotechnical Reports, Water & Sewer Location Maps, and Owners Title Policy. Owner may consider subdividing the Property.
Agriculture / Farm
Association Fees / Info
Hoa Frequency: Monthly
Bathroom Info
Building Info
Zoning: FA
Buyer Compensation
Exterior Features
Financial
Garage / Parking
Interior Features
Lot Info
Acres: 349.97
Lot Description: OutsideCityLimits, Acreage
Misc
Offer Compensation
Other School Info
Property Info
County: Horry
Road Frontage Type: CountyRoad
Road Surface Type: Asphalt
Stipulation of Sale: None
Property Sub Type Additional: Acreage
Room Info
Sold Info
Tax Info
Utilities / Hvac
Utilities Available: ElectricityAvailable, SewerAvailable, WaterAvailable
Waterfront / Water
Directions
Property is accessible from several access points off Heritage Road, as well as Loris Lions Road.Courtesy of Blue Strand Real Estate Group





Recent Posts RSS
Provided courtesy of © Copyright 2026 Coastal Carolinas Multiple Listing Service, Inc.®. Information Deemed Reliable but Not Guaranteed. © Copyright 2026 Coastal Carolinas Multiple Listing Service, Inc.® MLS. All rights reserved. Information is provided exclusively for consumers’ personal, non-commercial use, that it may not be used for any purpose other than to identify prospective properties consumers may be interested in purchasing.
Images related to data from the MLS is the sole property of the MLS and not the responsibility of the owner of this website. MLS IDX data last updated on 05-27-2026 12:30 PM EST.
Any images related to data from the MLS is the sole property of the MLS and not the responsibility of the owner of this website.