Viewing Listing MLS# 2523300
Conway, SC 29527
- CFAZoning
- AcreageType
- N/A# Lots
- N/AWater
- HorryCounty
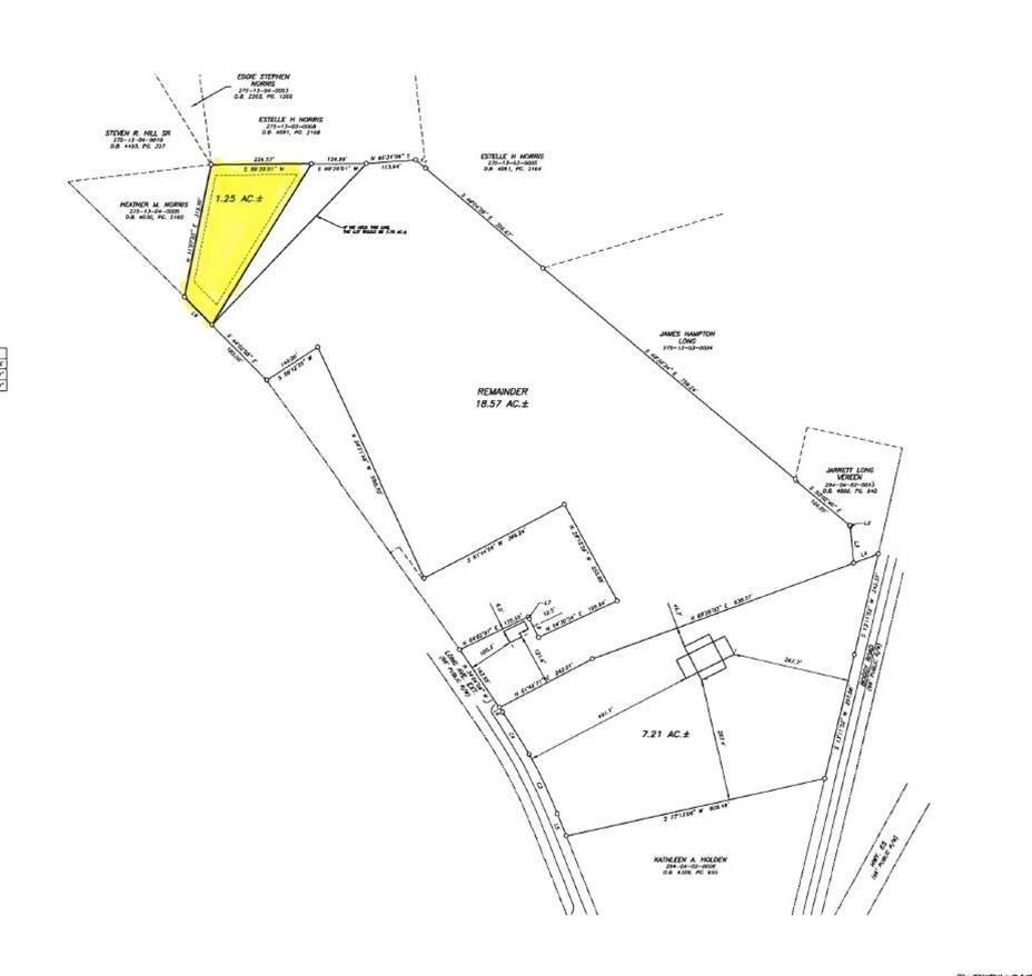
- 34.17Acres
- MLS# 2523300
- Land
- Acreage
- Sold
- Approx Time on Market4 months, 13 days
- AreaConway Area--Southwest Side of Conway Between 378 and 701
- CountyHorry
- Subdivision Not within a Subdivision
Overview
Great opportunity to own over 30 acres of land just minutes from historic downtown Conway. This versatile parcel is zoned CFA, offering a wide range of potential uses. Access is provided by an easement through the adjoining property. Weather you're envisioning a private horse farm, a homestead, or simply a family retreat, this property provides the perfect canvas to bring your vision to life. Enjoy the privacy of a large tract of land while still being conveniently close to shopping, dining, and the charm of downtown Conway. Don' miss your change to make this unique property your own!
Sale Info
Listing Date: 09-23-2025
Sold Date: 02-06-2026
Aprox Days on Market: 
4 month(s), 13 day(s)
Listing Sold: 
2 month(s), 10 day(s) ago
Asking Price: $175,000
Selling Price: $160,000
Price Difference:
Reduced By $15,000
Agriculture / Farm
Horse: No
Association Fees / Info
Hoa Frequency: Monthly
Hoa: No
Bathroom Info
Building Info
New Construction: No
Zoning: CFA
Buyer Compensation
Exterior Features
Spa: No
Financial
Garage / Parking
Garage: No
Carport: No
Open Parking: No
Attached Garage: No
Interior Features
Fireplace: No
Lot Info
Acres: 34.17
Land Lease: No
Lot Description: Rectangular, RectangularLot, Acreage
Misc
Pool Private: No
Offer Compensation
Other School Info
Property Info
County: Horry
Road Frontage Type: Easement
View: No
Senior Community: No
Stipulation of Sale: None
Property Sub Type Additional: Acreage
Property Attached: No
Rent Control: No
Room Info
Sold Info
Sold Date: 2026-02-06T00:00:00
Tax Info
Utilities / Hvac
Electric On Property: No
Cooling: No
Sewer: SepticPermit
Heating: No
Waterfront / Water
Waterfront: No
Schools
Elem: Pee Dee Elementary School
Middle: Whittemore Park Middle School
High: Conway High School
Courtesy of Re/max Southern Shores-conway - Cell: 843-450-0856





Recent Posts RSS
MLS# 2528645
Provided courtesy of © Copyright 2026 Coastal Carolinas Multiple Listing Service, Inc.®. Information Deemed Reliable but Not Guaranteed. © Copyright 2026 Coastal Carolinas Multiple Listing Service, Inc.® MLS. All rights reserved. Information is provided exclusively for consumers’ personal, non-commercial use, that it may not be used for any purpose other than to identify prospective properties consumers may be interested in purchasing.
Images related to data from the MLS is the sole property of the MLS and not the responsibility of the owner of this website. MLS IDX data last updated on 04-16-2026 4:02 PM EST.
Any images related to data from the MLS is the sole property of the MLS and not the responsibility of the owner of this website.