Viewing Listing MLS# 2506913
Loris, SC 29569
- FAZoning
- AcreageType
- N/A# Lots
- N/AWater
- HorryCounty
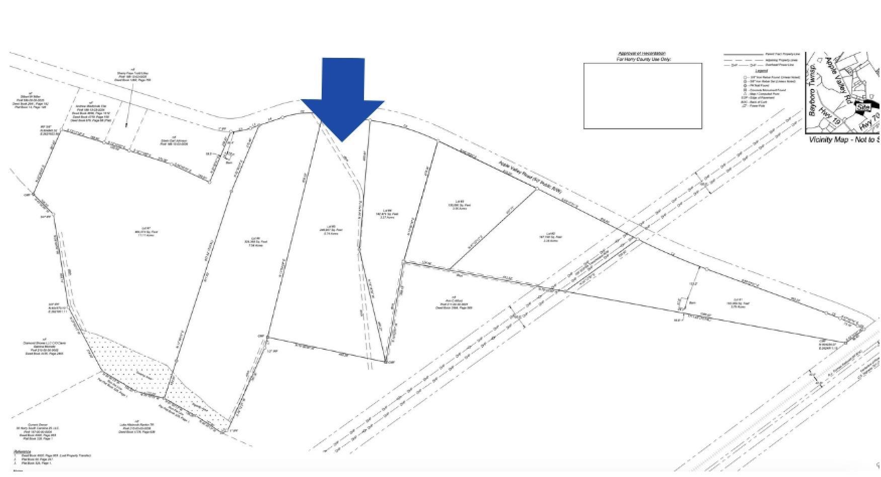
- 5.74Acres
- MLS# 2506913
- Land
- Acreage
- Active
- Approx Time on Market11 months, 6 days
- AreaLoris To Conway Area--South of Loris Above Rt 22
- CountyHorry
- Subdivision Not within a Subdivision
Overview
Escape the hustle and bustle of HOA communities and embrace the serenity of this stunning 5.74-acre property located just 8 miles from Highway 22. With convenient access to all that the Grand Strand has to offer, this peaceful acreage is perfect for those seeking privacy and space while still being close to the beach, shopping, dining, and entertainment. Whether you're looking to build your dream home, create a private retreat, or enjoy the freedom of country living, this expansive lot offers endless possibilities. Enjoy the best of both worlds: a quiet, rural setting thats just a short drive from the vibrant attractions and coastline of Myrtle Beach. Don't miss the opportunity to own your slice of tranquility in Loris - your gateway to the Grand Strand!
Agriculture / Farm
Association Fees / Info
Hoa Frequency: Monthly
Community Features: GolfCartsOk, LongTermRentalAllowed
Assoc Amenities: OwnerAllowedGolfCart, OwnerAllowedMotorcycle, PetRestrictions, TenantAllowedGolfCart, TenantAllowedMotorcycle
Bathroom Info
Building Info
Zoning: FA
Buyer Compensation
Exterior Features
Financial
Garage / Parking
Interior Features
Lot Info
Acres: 5.74
Lot Description: IrregularLot, Acreage, MobileHomeAllowed
Misc
Pets Allowed: OwnerOnly, Yes
Offer Compensation
Other School Info
Property Info
County: Horry
Road Surface Type: Asphalt
Stipulation of Sale: None
Property Sub Type Additional: Acreage
Room Info
Sold Info
Tax Info
Utilities / Hvac
Waterfront / Water
Directions
Plug in directions to this store and Apple Valley Rd is across the street across the railroad tracks. Country Roads Convenience, 1845 US-701 Hwy, Loris, SC 29569Courtesy of Exp Realty, Llc





Recent Posts RSS
MLS# 2601037
Provided courtesy of © Copyright 2026 Coastal Carolinas Multiple Listing Service, Inc.®. Information Deemed Reliable but Not Guaranteed. © Copyright 2026 Coastal Carolinas Multiple Listing Service, Inc.® MLS. All rights reserved. Information is provided exclusively for consumers’ personal, non-commercial use, that it may not be used for any purpose other than to identify prospective properties consumers may be interested in purchasing.
Images related to data from the MLS is the sole property of the MLS and not the responsibility of the owner of this website. MLS IDX data last updated on 02-26-2026 6:30 PM EST.
Any images related to data from the MLS is the sole property of the MLS and not the responsibility of the owner of this website.