Viewing Listing MLS# 2505708
Murrells Inlet, SC 29576
- HCZoning
- CommercialType
- 1# Lots
- PublicWater
- HorryCounty
- 0.80Acres
- MLS# 2505708
- Land
- Commercial
- Active
- Approx Time on Market1 year, 1 month, 6 days
- AreaMyrtle Beach Area--South of 544 & West of 17 Bypass M.i. Horry County
- CountyHorry
- Subdivision Not within a Subdivision
Overview
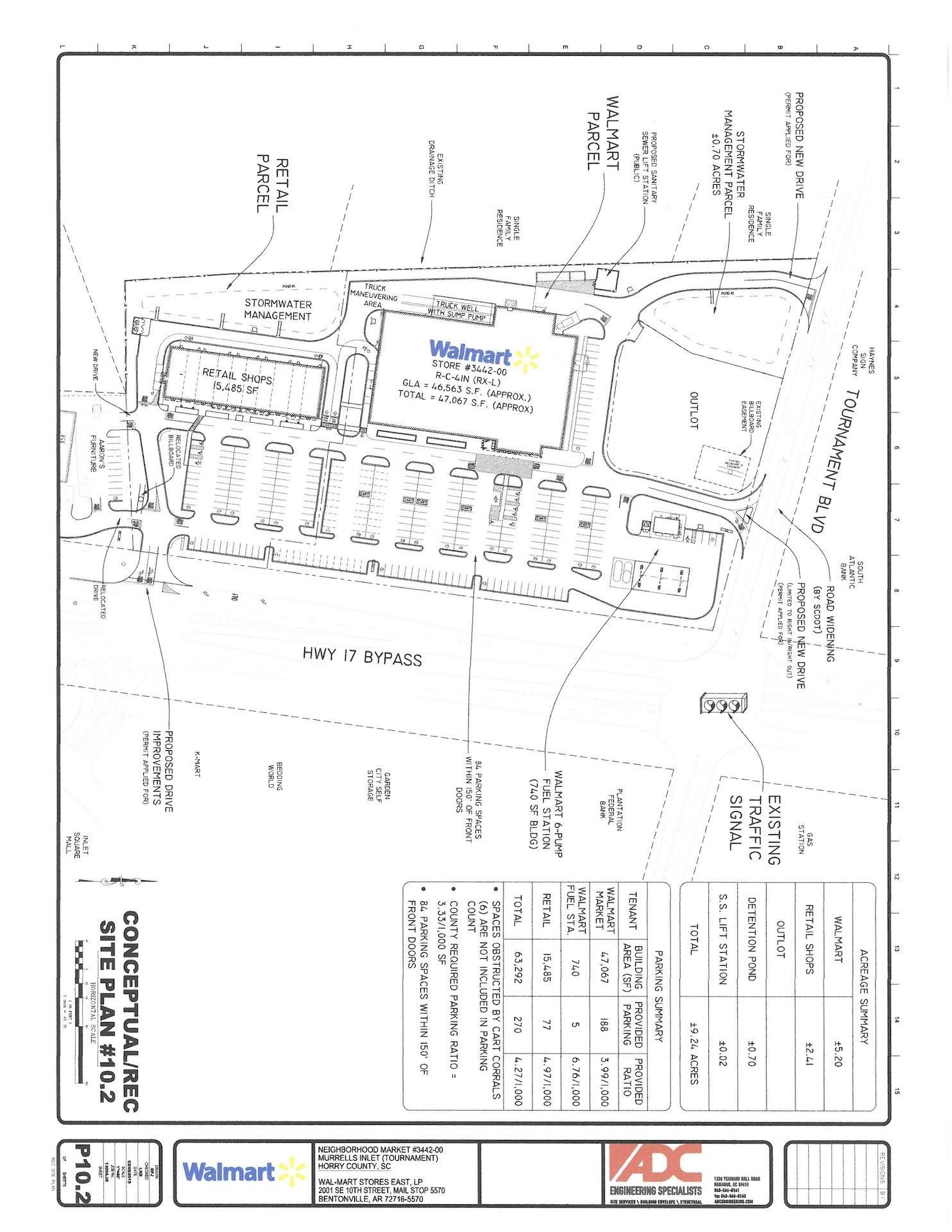
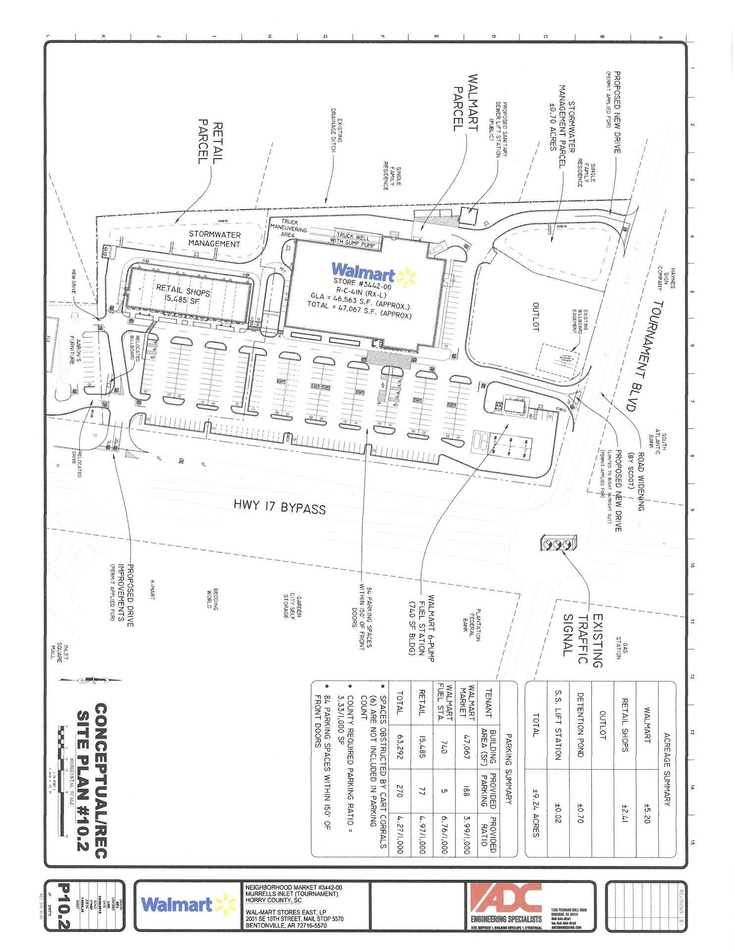
For Ground Lease: 0.8 acre pad site outparcel at Tournament Crossing Shopping Center anchored by Walmart Neighborhood Market. Utilities to site and off-site stormwater detention in place. Other tenants in the shopping center include Tropical Smoothie Cafe, Coastal Dental, Great Clips, AT&T, Edward Jones, etc. Prime location at the signalized intersection of Hwy 17 Bypass and Tournament Blvd, across from Inlet Square Mall redevelopment. Strong demographics show an affluent population base and a significant tourist population. ADT on Hwy 17 Bypass is 36,700. Permanent population within a 5 mile radius is approx. 73,110 and growing.
Agriculture / Farm
Association Fees / Info
Hoa Frequency: Monthly
Bathroom Info
Building Info
Zoning: HC
Buyer Compensation
Exterior Features
Financial
Number of Lots: 1
Garage / Parking
Interior Features
Lot Info
Lease Considered: Yes
Acres: 0.80
Lot Description: IrregularLot, OutsideCityLimits
Misc
Offer Compensation
Other School Info
Property Info
County: Horry
Stipulation of Sale: None
Property Sub Type Additional: Commercial,UnimprovedLand
Room Info
Sold Info
Tax Info
Utilities / Hvac
Sewer: PublicSewer
Utilities Available: ElectricityAvailable, SewerAvailable, UndergroundUtilities, WaterAvailable
Water Source: Public
Waterfront / Water
Directions
From Highway 17 Bypass in Murrells Inlet, turn onto Tournament Blvd/Hwy 801 (signalized intersection); subject property is on left beside Walmart Neighborhood Market and behind the Walmart gas canopy. South Atlantic Bank is on the opposite side of Tournament Blvd at the same intersection.Courtesy of Cb Sea Coast Commercial





Recent Posts RSS
MLS# 2600849
Provided courtesy of © Copyright 2026 Coastal Carolinas Multiple Listing Service, Inc.®. Information Deemed Reliable but Not Guaranteed. © Copyright 2026 Coastal Carolinas Multiple Listing Service, Inc.® MLS. All rights reserved. Information is provided exclusively for consumers’ personal, non-commercial use, that it may not be used for any purpose other than to identify prospective properties consumers may be interested in purchasing.
Images related to data from the MLS is the sole property of the MLS and not the responsibility of the owner of this website. MLS IDX data last updated on 04-12-2026 5:16 PM EST.
Any images related to data from the MLS is the sole property of the MLS and not the responsibility of the owner of this website.