Viewing Listing MLS# 2500389
Green Sea, SC 29545
- FAZoning
- AcreageType
- N/A# Lots
- WellWater
- HorryCounty
- 8.08Acres
- MLS# 2500389
- Land
- Acreage
- Active
- Approx Time on Market1 year, 4 months, 24 days
- AreaLoris Area--West of Loris & North of Hwy 9
- CountyHorry
- Subdivision Not within a Subdivision
Overview
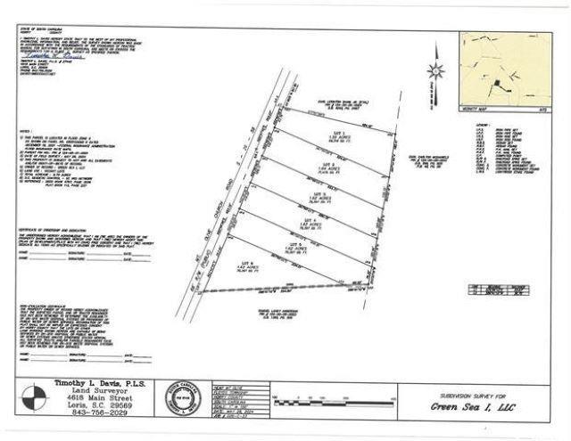
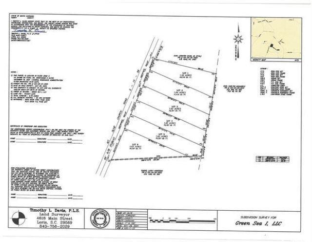
This fantastic tract of cleared land offers exceptional soil and endless possibilities. In the pictures, the second image showcases a plat of the proposed subdivision, including Lot 4, though the land has not yet been officially subdivided. The subdivision layout can be customized to meet the buyers needs, providing flexibility and room for your vision. The owner is open to selling the entire tract or select lots, with the condition that lots be purchased sequentially, either from left to right or right to leftno random selections are permitted. The property will require a well and septic system, making it ideal for those looking to create a home tailored to their preferences. Located less than an hour from Myrtle Beach, this property offers convenient access to world-class dining, shopping, and golf. Whether you're envisioning a mobile home or a stick-built home, this is the perfect opportunity to create your dream residence in a highly desirable location.
Agriculture / Farm
Association Fees / Info
Hoa Frequency: Monthly
Bathroom Info
Building Info
Zoning: FA
Buyer Compensation
Exterior Features
Financial
Garage / Parking
Interior Features
Lot Info
Acres: 8.08
Lot Description: OutsideCityLimits, Rectangular, RectangularLot, Acreage
Misc
Offer Compensation
Other School Info
Property Info
County: Horry
Road Frontage Type: CountyRoad
Stipulation of Sale: None
Property Sub Type Additional: Acreage
Room Info
Sold Info
Tax Info
Utilities / Hvac
Sewer: SepticTank
Utilities Available: ElectricityAvailable, SepticAvailable
Water Source: Well
Waterfront / Water
Directions
The land has not yet been assigned an address. SO, GPS 3233 Mount Olive Church RD. Green Sea. Proceed approx 1/4 mile past this address. You will see a NextHome Sign on the Right. Turn into the driveway and park.Courtesy of Nexthome The Agency Group Mb





Recent Posts RSS
MLS# 2612325
Provided courtesy of © Copyright 2026 Coastal Carolinas Multiple Listing Service, Inc.®. Information Deemed Reliable but Not Guaranteed. © Copyright 2026 Coastal Carolinas Multiple Listing Service, Inc.® MLS. All rights reserved. Information is provided exclusively for consumers’ personal, non-commercial use, that it may not be used for any purpose other than to identify prospective properties consumers may be interested in purchasing.
Images related to data from the MLS is the sole property of the MLS and not the responsibility of the owner of this website. MLS IDX data last updated on 05-27-2026 3:02 PM EST.
Any images related to data from the MLS is the sole property of the MLS and not the responsibility of the owner of this website.