Viewing Listing MLS# 2302033
Conway, SC 29527
- FAZoning
- AcreageType
- 1# Lots
- PublicWater
- HorryCounty
- 11.00Acres
- MLS# 2302033
- Land
- Acreage
- Active
- Approx Time on Market2 years, 9 months, 24 days
- AreaConway Central Between 501& 9th Ave / South of 501
- CountyHorry
- Subdivision Not within a Subdivision
Overview
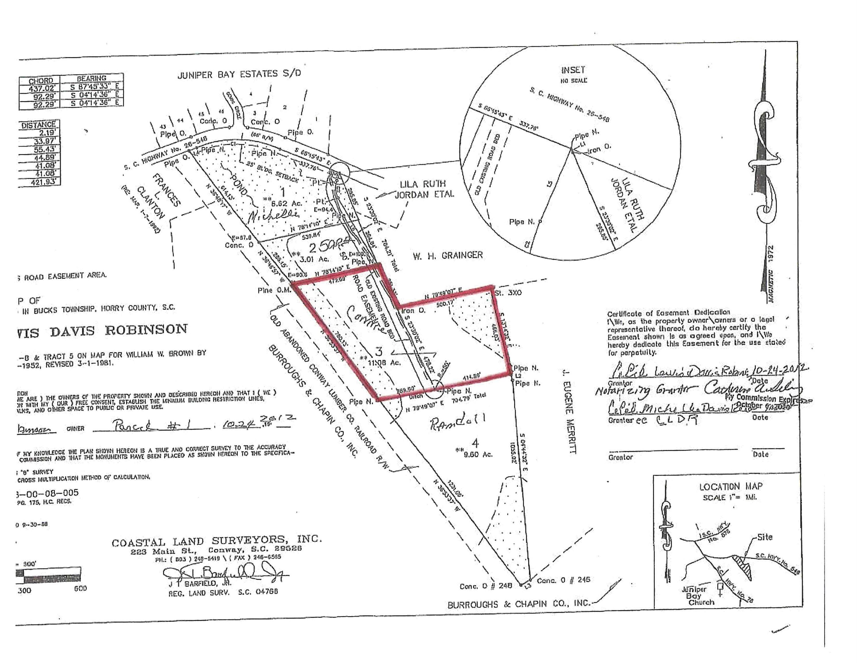
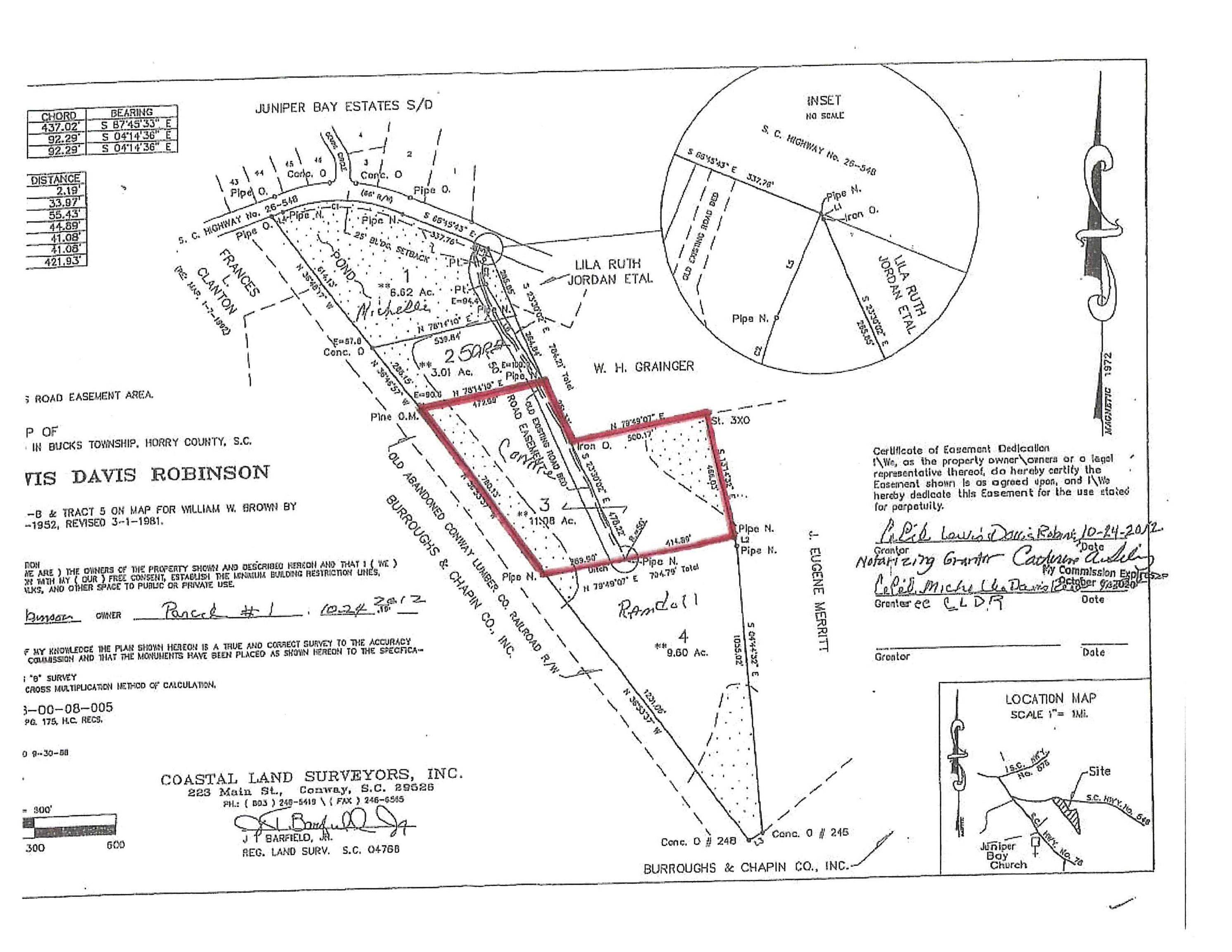
11 prime acres located on Highway 548 just outside of Conway. The property is zoned FA and is in the path of progress. Egress and ingress to the tract from Highway 548 is through a dedicated easement. Survey is available.
Agriculture / Farm
Association Fees / Info
Hoa Frequency: Monthly
Bathroom Info
Building Info
Zoning: FA
Buyer Compensation
Exterior Features
Financial
Number of Lots: 1
Garage / Parking
Interior Features
Lot Info
Acres: 11.00
Lot Description: IrregularLot, OutsideCityLimits, Acreage
Misc
Offer Compensation
Other School Info
Property Info
County: Horry
Road Frontage Type: Easement
Road Surface Type: Dirt
Stipulation of Sale: None
Property Sub Type Additional: Acreage
Room Info
Sold Info
Tax Info
Utilities / Hvac
Sewer: PublicSewer
Utilities Available: ElectricityAvailable, WaterAvailable
Water Source: Public
Waterfront / Water
Directions
From Conway, take Highway 501 to Highway 548. Turn left on Highway 548. Go approximately 2 miles, property is on the leftCourtesy of Re/max Southern Shores - Cell: 843-267-3585





Recent Posts RSS
MLS# 2527875
Provided courtesy of © Copyright 2025 Coastal Carolinas Multiple Listing Service, Inc.®. Information Deemed Reliable but Not Guaranteed. © Copyright 2025 Coastal Carolinas Multiple Listing Service, Inc.® MLS. All rights reserved. Information is provided exclusively for consumers’ personal, non-commercial use, that it may not be used for any purpose other than to identify prospective properties consumers may be interested in purchasing.
Images related to data from the MLS is the sole property of the MLS and not the responsibility of the owner of this website. MLS IDX data last updated on 11-26-2025 12:15 PM EST.
Any images related to data from the MLS is the sole property of the MLS and not the responsibility of the owner of this website.